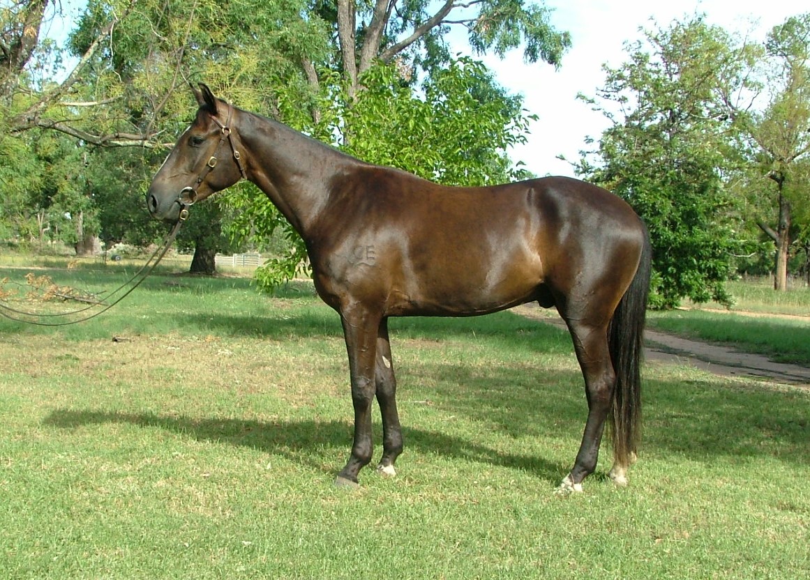
Age
3
Sex
GELDING
Colour
BLACK
Height
15.2
GST
100%
Trainer
CRAIG ERVINE
Phone Number
Location
BAAN BAA, NSW
| Heritage Disorder: | Unknown |
| Disease: | No |
| Accidents: | No |
| Previous eye disease, trauma or impaired vision: | No |
| Ongoing Lameness: | No |
| Head shaking, stringhalt or locking stifle: | No |
| Recurring vices such as windsucks, weaves, bites, kicks, bucks, etc: | No |
| Abnormalities of breathing at rest or during exercise: | No |
| Known fertility issues: | No |
| Surgeries: | No |
| Other details: | No |
Vaccinations
| Strangles | No |
| Tetanus | No |
| Herpes | No |
| Equity® | No |
| Hendra | No |