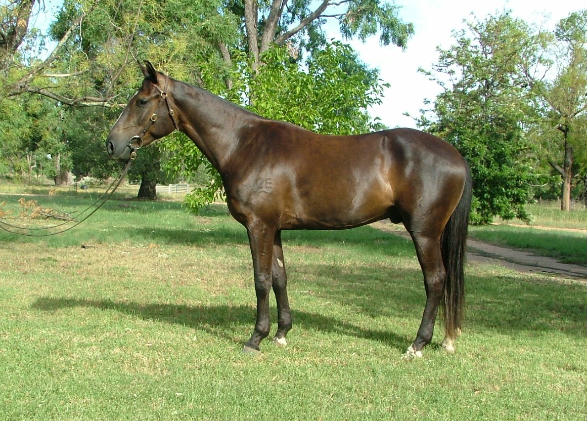
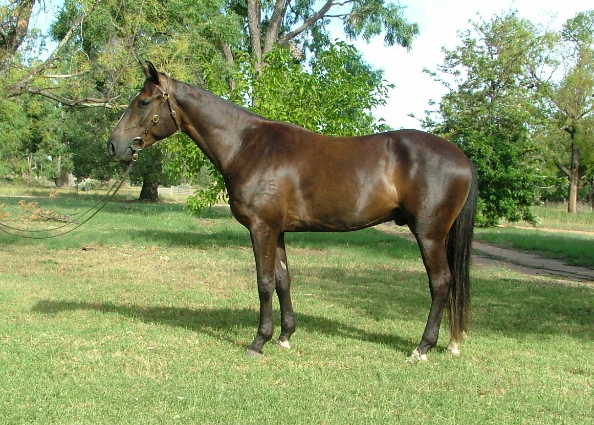
Lot 37

ERVINES JASPER JONES

Stable D252

TARRAWAY PARTNERSHIP - CRAIG ERVINE & SUE KIRKBY

Registration No. 260145

D.O.B
25-10-2021

Age

3

Sex

GELDING

Colour

BLACK

Height

15.2

GST

100%

Trainer

CRAIG ERVINE

Phone Number

0427 944 793

Location

BAAN BAA, NSW

Catalogued Comments
Big, strong, soft, kind, beautiful moving gelding. 2 full sisters have won drafts. Both parents are draft winners with winners stacking his pedigree. Jasper should suit any discipline. He has been started on cattle and bison.
Activity Timeline
Catalogue Information has been updated.
1 year ago
Videos were updated.
1 year ago
Photos were updated.
1 year ago
Photos were updated.
1 year ago
Catalogue Information has been updated.
1 year ago
Associated Lots
ERVINES JASPER JONES
Sire:
KIRKBYS STUD CONTENDER - HSH
Dam:
ERVINES ECLIPSE
HAZELWOOD CONMAN - IS HSH
KIRKBYS STUD GLEAM - HSH
ADIOS REFLECT - IS HSH
BONZER STUD BABE
DOGWOOD COMET - IS HSH
HAZELWOOD ROMANCE - IM HSH
WARRENBRI OMEGA - IS HSH
DUL GLO - HSH
ABDUL - IS HSH
BARONA AMY - FM HSH
KIRKBYS STUD FRECKLES BELAH
HOLLYWOOD JOANIE 02
Heritage Disorder: Unknown
Disease: No
Accidents: No
Previous eye disease, trauma or impaired vision: No
Ongoing Lameness: No
Head shaking, stringhalt or locking stifle: No
Recurring vices such as windsucks, weaves, bites, kicks, bucks, etc: No
Abnormalities of breathing at rest or during exercise: No
Known fertility issues: No
Surgeries: No
Other details: No

Vaccinations

Strangles No
Tetanus No
Herpes No
Equity® No
Hendra No